#황열기#임원항황금마차호

조황포스팅 (관리자 : 티그리스)

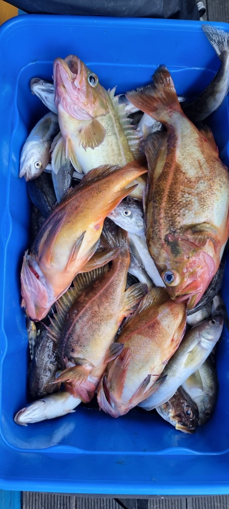
#황열기#임원항황금마차호

황금마차호 댓글 0 조회 657 추천 0 비추천 0
아침 잠깐,
바람이라도 불어줄 때
그나마 쬐금 나오더니
그 후로 어지간히 안나오네요ㅠ

채비 탓도 있는 것 같고
매일매일이 숙제입니다~ㅎ

모두들 수고하셨습니다^^
c5a6965a463e943d7ccf809da10d1c97.jpeg34f21a62781642f995eea485cf30ffea.jpeg
0ad8c7237395af001ced1e40ea992b5b.jpeg8a173a3a85d59007851267a22320161f.jpeg
f23796ed3565813942bab1cb23a1a35c.jpege1f12cb3566777ecfe5b1c9f59726bbe.jpeg
1d92371b7e0d745613f2f1a6a9025c1d.jpeg68de1b6d3ece509824a2d1c1de45553e.jpeg


이 게시글에 달린 댓글 총 0

BOAT 영상